Map Snapshot
476 Records
Relationships
Although this is called Native Holly Leafminer, there are several leaf-mining flies on hollies. This species also mines cultivated hollies. (Charley Eiseman/BugGuide)
Citations
No citations linked for this taxon yet.
Use of media featured on Maryland
Biodiversity Project is only permitted with express permission of the
photographer.
Native Holly Leafminer in Calvert Co., Maryland (4/4/2019). Determined by Charley Eiseman/BugGuide.
View Record Details
Media by
Tyler Bell.
Native Holly Leafminer in Dorchester Co., Maryland (2/16/2020). (c) Judy Gallagher, some rights reserved (CC BY-NC).
View Record Details
Media by
Judy Gallagher.
Native Holly Leafminer in Anne Arundel Co., Maryland (4/22/2020). (c) Timothy Reichard, all rights reserved.
View Record Details
Media by
Timothy Reichard.
Native Holly Leafminer in Prince George's Co., Maryland (5/27/2017). Determined by Charley Eiseman/BugGuide.
View Record Details
Media by
Jim Brighton.
Native Holly Leafminer in Anne Arundel Co., Maryland (4/22/2020). (c) Timothy Reichard, all rights reserved.
View Record Details
Media by
Timothy Reichard.
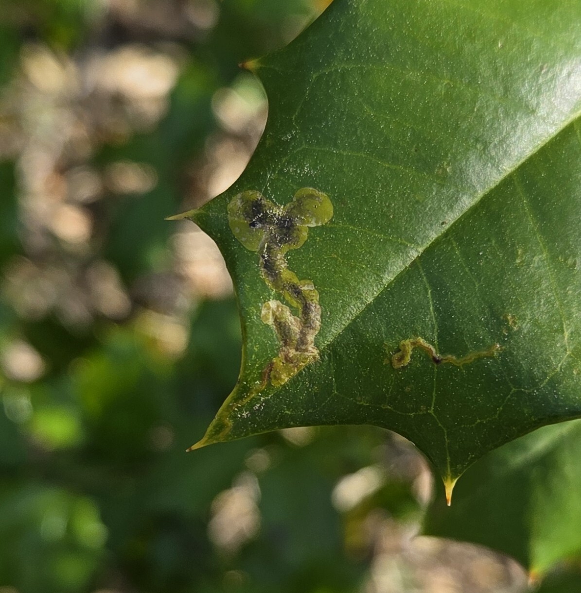
The mine of a Native Holly Leafminer in Harford Co., Maryland (9/26/2020). Verified by Charley Eiseman/BugGuide.
View Record Details
Media by
Dave Webb.
Native Holly Leafminer in Carroll Co., Maryland (2/17/2021). (c) Matthew Beziat, some rights reserved (CC BY-NC).
View Record Details
Media by
Matthew Beziat.
Native Holly Leafminer on American Holly in St. Mary's Co., Maryland (11/18/2017). Verified by Charley Eiseman/BugGuide.
View Record Details
Media by
Tyler Bell.
Native Holly Leafminer in Howard Co., Maryland (4/1/2017). Determined by Charley Eiseman/BugGuide.
View Record Details
Media by
Jim Brighton.
Native Holly Leafminer in St. Mary's Co., Maryland (9/23/2020). (c) jtylerbell, some rights reserved (CC BY-NC).
View Record Details
Media by
Tyler Bell.
Native Holly Leafminer in St. Mary's Co., Maryland (9/23/2020). (c) jtylerbell, some rights reserved (CC BY-NC).
View Record Details
Media by
Tyler Bell.
Native Holly Leafminer in Calvert Co., Maryland (3/9/2018).
View Record Details
Media by
Tyler Bell.
Native Holly Leafminer in Montgomery Co., Maryland (2/14/2021). (c) Emily Summerbell, some rights reserved (CC BY-NC).
View Record Details
Media by
Emily Summerbell, Ph.D. via iNaturalist.
Native Holly Leafminer in Montgomery Co., Maryland (2/14/2021). (c) Emily Summerbell, some rights reserved (CC BY-NC).
View Record Details
Media by
Emily Summerbell, Ph.D. via iNaturalist.
The mine of a Native Holly Leafminer in Baltimore City, Maryland (6/4/2010). Determined by Charley Eiseman/BugGuide.
View Record Details
Media by
Thomas Wilson.
The mine of a Native Holly Leafminer in Baltimore City, Maryland (7/30/2013). Determined by Charley Eiseman/BugGuide.
View Record Details
Media by
Thomas Wilson.
Native Holly Leafminer in St. Mary's Co., Maryland (6/29/2021). (c) jtylerbell, some rights reserved (CC BY-NC).
View Record Details
Media by
Tyler Bell.
Native Holly Leafminer in St. Mary's Co., Maryland (6/29/2021). (c) jtylerbell, some rights reserved (CC BY-NC).
View Record Details
Media by
Tyler Bell.
Native Holly Leafminer in St. Mary's Co., Maryland (11/23/2022). (c) jtylerbell, some rights reserved (CC BY-NC).
View Record Details
Media by
Tyler Bell.
Native Holly Leafminer in St. Mary's Co., Maryland (9/5/2021). (c) jtylerbell, some rights reserved (CC BY-NC).
View Record Details
Media by
Tyler Bell.
Native Holly Leafminer in St. Mary's Co., Maryland (10/10/2022). (c) jtylerbell, some rights reserved (CC BY-NC).
View Record Details
Media by
Tyler Bell.
Native Holly Leafminer in St. Mary's Co., Maryland (3/16/2023). (c) jtylerbell, some rights reserved (CC BY-NC).
View Record Details
Media by
Tyler Bell.
A Native Holly Leafminer in Scotland Co., North Carolina (3/18/2016). Total length 1.5 mm.
View Record Details
Media by
Charley Eiseman.
Native Holly Leafminer in Montgomery Co., Maryland (4/4/2026). (c) Matthew Beziat, some rights reserved (CC BY-NC)
View Record Details
Media by
Matthew Beziat.
Source: Wikipedia
| Phytomyza ilicicola | |
|---|---|
| Leafmine left by the species on an American holly | |
| Scientific classification | |
| Kingdom: | Animalia |
| Phylum: | Arthropoda |
| Clade: | Pancrustacea |
| Class: | Insecta |
| Order: | Diptera |
| Family: | Agromyzidae |
| Genus: | Phytomyza |
| Species: | P. ilicicola
|
| Binomial name | |
| Phytomyza ilicicola Loew, 1872
| |
Phytomyza ilicicola, the native holly leafminer, is a species of leaf miner fly in the family Agromyzidae.[1][2][3] They are a pest of the American holly.[4]
References
[edit]- ^ "Phytomyza ilicicola Report". Integrated Taxonomic Information System. Retrieved 2019-09-23.
- ^ "Phytomyza ilicicola". GBIF. Retrieved 2019-09-23.
- ^ "Phytomyza ilicicola species Information". BugGuide.net. Retrieved 2019-09-23.
- ^ "Holly leaf miner". Missouri Botanical Garden. Retrieved 2026-04-18.